Beschrijving

Een ruime en zeer complete twee onder een-kap-woning voorzien van uitgebouwde woonkamer,  geïsoleerde bijkeuken, garage met carport en grote vrijstaande schuur (afm. 5.10 x 12.30 meter) gelegen in de lintbebouwing en buitenzijde van het dorp op een bijzonder ruim perceel van maar liefst 610 m2 eigen grond.

Dit huis is oorspronkelijke gebouwd in 1983 en vanzelfsprekend volledig geïsoleerd. In 2021 zijn er 9 zonnepanelen geïnstalleerd en zijn er op de verdiepingen kunststof kozijnen geplaatst met HR++ beglazing. Daarnaast vindt u in de woning zelfs 5 slaapkamers, kortom een groot gezin kan in deze woning en met deze diepe achtertuin "goed uit de voeten". 

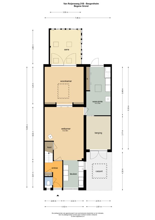
Dit woonhuis kent de volgende indeling:
Begane grond: entrée/hal met meterkast en moderne toiletruimte; woonkeuken voorzien van moderne en complete inbouwkeuken en sfeervolle pelletkachel welke tevens op de c.v. installatie is aangesloten; hal met trapopgang naar de 1e verdieping; woonkamer voorzien van plavuizenvloer en openslaande deuren; bijkeuken; garage/berging met carport; serre/tuinkamer.

1e verdieping: overloop met trapopgang naar de 2e verdieping; 3 moderne slaapkamers, waarvan 1 met kastenwand; moderne en complete badkamer.                             

2e verdieping: overloop; 2 slaapkamers, beide voorzien van vaste kasten.

De woonkeuken is voorzien van een moderne inbouwkeuken (2015) met daarin een gaskookplaat, vaatwasser (2019), koelkast (2019) rvs afzuigkap, combi- magnetron en een granieten aanrechtblad.

De complete badkamer (2015) is voorzien van een inloopdouche met glasdeur, ligbad,  wastafelmeubel, hangtoilet en designradiator .

In de diepe achtertuin bevindt zich een degelijk gebouwde en riante houten (Douglas) schuur met een afmeting van ca. 5.10 x 12.30 meter. Deze schuur is tevens voorzien van een riante bergzolder.

Algemeen:
-dit huis is gebouwd in 1983
-de warmwater- en verwarmingsvoorziening geschiedt middels een gasgestookte c.v.-installatie met Intergas HRE combi-ketel, geïnstalleerd in 2022
- de woonkamer, keuken en badkamer zijn voorzien van vloerverwarming
-de woning is volledig geïsoleerd
-in 2018 is er op de 1e verdieping een airco geïnstalleerd
-in 2021 is de serre/tuinkamer gerealiseerd
-in 2021 is de gehele meterkast vernieuwd
-in 2021 zijn er 9 zonnepanelen geïnstalleerd
-in 2021 zijn er kunststofkozijnen met HR++ glas op de verdiepingen geplaatst
-in 2023 is het buitenschilderwerk op de begane grond uitgevoerd
-bij koop wordt een waarborgsom/bankgarantie van 10% van de koopsom van de koper verlangd

Binnen circa 35 autominuten zijn steden als Zwolle, Hoogeveen, Almelo, Hengelo en Enschede te bereiken.

Resumerend: een complete en goed onderhouden gezinswoning met zowel ruimte in als om het huis. 

Geïnteresseerd: op dinsdag 3 maart 2026 van 9.00 tot 17.00 uur is er een kijkdag georganiseerd. U kunt alleen deelnemen op afspraak. Hiervoor kunt u tel. contact opnemen met ons kantoor op tel. nr 0546 641234

Kenmerken